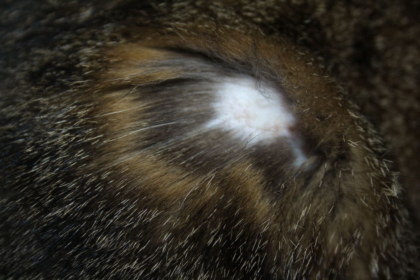
Reakce na očkování